 
                                        
 
                                        
 
                                        
 
                                        
本報訊
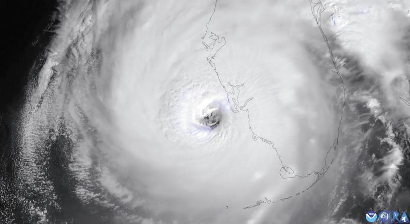
颶風「伊恩」(Hurricane Ian)以4級颶風強度在美國佛州西南地區強勢登陸,最高持續風力每小時超過150哩,是全美有紀錄以來最強大風暴之一,超過180萬人陷入漆黑之中。坦帕市(Tampa)市長卡斯托(Jane Castor)警告,最壞情況尚未來臨,國家颶風中心則說「伊恩」已威力減弱,但是內陸地區仍會感受到災難級別的風力。
綜合美聯社、CNN和《國會山報》報道,「伊恩」為佛州帶來大量雨水,不但淹沒街道,而且摧毀沿海一帶樹木,在廣泛地區造成嚴重洪澇。風暴登陸後大約一小時,當局已接獲大批民宅淹水的求助電話,其中住在威尼斯市(Venice)的居民普里切特(Mark Pritchett)形容,雨水尖銳如同針頭,街道變成河流,他在強風中完全無法站立。
佛州州長德桑蒂斯(Ron DeSantis)28日在新聞發布會上表示,「伊恩」強度達到颶風4級,是當地歷來排名前5的強烈風暴,某些地區風暴潮高達12呎。
氣象學家相信,風暴登陸後威力已到頂峰,會在未來幾小時逐步減弱。佛州中部地區則發布極端大風警告,氣象部門呼籲民眾需以防範龍捲風的心態應對,要麼留在室內安全地方,或者盡快前往避難場所。
國家氣象局資料顯示,佛州西南部有至少6個城市風速超過100哩,其中開普科勒爾(Cape Coral)每小時風速達到140哩。
電力供應資訊網站PowerOutage.us數據顯示,佛州9個縣逾半用戶停電,其中德索托縣(DeSoto County)更是完全陷入漆黑。另外,多個縣都發布閃洪緊急警告,降雨量可能超過19吋或以上。
受到風暴影響,西嶼機場(Key West Airport)27日起暫停所有航班升降後,29日早上7時才重啟服務。每天升降450趟航班的坦帕機場則說,機場重開日期仍有待公布。
邁阿密機場28日中午仍然開放,但多趟航班需延誤或取消。截至28日中午為止,全美大約有2100趟航班需要取消,29日需要取消的航班也有1700趟。
聯邦政府表示已派出300輛救護車,並準備在風暴過去後,向佛州運送370萬份食物和350萬升食水。總統拜登28日表示,會協助佛州清理重建,並提醒石油和天然氣公司不要在颶風期間提高汽油價格,否則聯邦部門會嚴查業者有否哄抬物價。
「伊恩」逼近佛州期間,油價已有上升趨勢。美國汽車協會(AAA)資料顯示,佛州目前油價每加侖大約3.4元,售價比一周之前略高。由於氣象預報「伊恩」會轉入內陸地區,喬治亞、南卡和北卡州已提前宣布進入緊急狀態。
「伊恩」27日以特大颶風的姿態席捲古巴西部,造成100萬人停電後,再次增強成為4級颶風逼近佛州,拜登當晚曾與德桑蒂斯通電話了解情況,德桑蒂斯稱已向250萬人發出疏散通知。早年在小布殊政府任職國土安全部的前官員維德里(Stewart Verdery)認為,選民期望政客能夠在災難來臨時放下成見,跨黨派合作救災對雙方都有利。
佛州邁亞密尚普蘭大廈南棟(Champlain Towers South)去年6月倒塌,造成接近100人死亡後,拜登也曾與德桑蒂斯一同亮相,並討論各種善後工作。但是在學校同性戀議題、移民爭議方面,兩人連月來關係非常緊張,外界相信德桑蒂斯有意問鼎總統寶座。
 
             
 
 
 
 
 
